Yellow Chamomile - Cota tinctoria
Dyer’s Chamomile
Golden Marguerite
Oxeye Chamomile
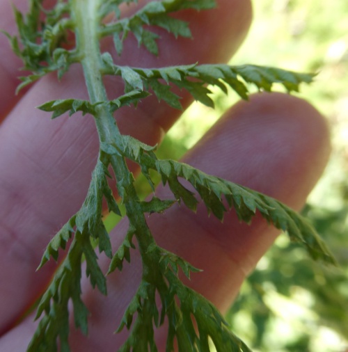
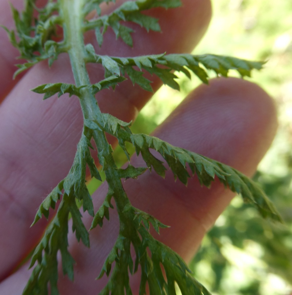
A clump forming plant, similar to Corn Marigold but with finely divided leaves, mid-green above and downy-grey beneath. Golden yellow flowers are held on uprights stems.
Please provide images showing both the flowers and the leaves (upper and lower surface if possible).
Often found as an escape from cultivation and close to habitation.
Flowering June - July
Perennial.
Widespread records in Britain.
Status in Leicestershire and Rutland not known.
Leicestershire & Rutland Map
Enter a town or village to see local records
MAP KEY:
Yellow squares = NBN records (all known data)
Coloured circles = NatureSpot records: 2025+ | 2020-2024 | pre-2020
UK Map
Species profile
- Common names
- Yellow Chamomile
- Species group:
- flowering plant
- Kingdom:
- Plantae
- Order:
- Asterales
- Family:
- Asteraceae
- Records on NatureSpot:
- 1
- First record:
- 09/07/2022 (Timms, Sue)
- Last record:
- 09/07/2022 (Timms, Sue)
Total records by month
% of records within its species group
10km squares with records
The latest images and records displayed below include those awaiting verification checks so we cannot guarantee that every identification is correct. Once accepted, the record displays a green tick.
In the Latest Records section, click on the header to sort A-Z, and again to sort Z-A. Use the header boxes to filter the list.



