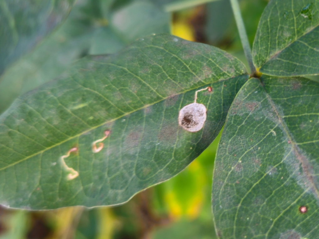
These are the most recent published  images submitted through our Submit Records form. Images are only published once the record has been checked and accepted (verified).

Note that the date displayed under the image is when that species was seen.

A pink box around the image indicates that identification is not certain.

To find out more about the species, click on the species name.